我要收藏
公共资源调用站点
文章分享
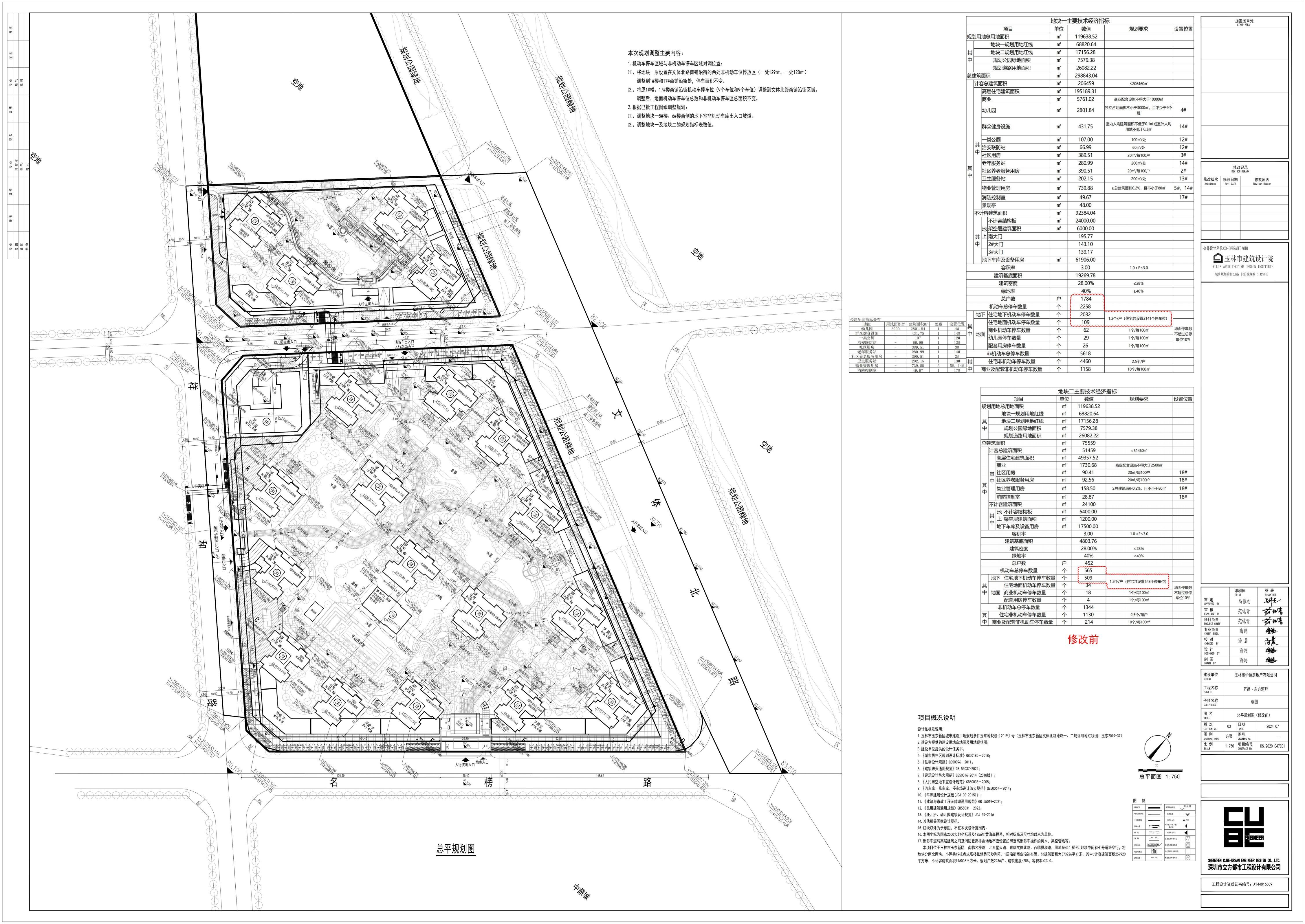
玉林市华恒房地产有限公司在办理万昌·东方河畔地下室(地块一)的规划核实阶段,经相关部门现场核实,该项目未按规划审批要求建设机械车位数量。现玉林市华恒房地产有限公司申请调整万昌·东方河畔项目地下室机械车位数量,经审查,万昌·东方河畔项目设计方案调整不涉及建筑面积的改变,地下室取消部分机械车位后,机动车总停车位数量满足《玉林市自然资源局关于加强玉林市中心城区居住建筑配建停车位规划管理的通知》(玉自然资发〔2024〕36号)文件要求。为保证相关利害关系人的知情权、监督权,我部对该公司开发建设的位于玉林市文体北路西侧的万昌·东方河畔设计方案调整进行公示,内容如下:
一、规划方案调整主要内容(详见附图)
调整万昌·东方河畔项目地下室机械车位数量。
拟调整规划方案与原已批准规划方案详见附图,其他规划内容可到我部公示栏查看。
|
指标名称 |
原经审批指标 |
现拟调整指标 | ||
|
地块一 |
地块二 |
地块一 |
地块二 | |
|
机动车总停车数量 |
2258 |
565 |
2091 |
520 |
|
机械车位数量 |
一期一组团 |
二期一组团 |
一期一组团 |
二期一组团 |
|
534 |
194 |
392 |
0 | |
二、公示时间及公示地点
(一)公示时间:2026年3月12日至2026年3月20日
(二)公示地点:
1.万昌·东方河畔项目公示栏;
2.广西玉林高新技术产业开发区管理委员会规划建设和应急管理部公示栏(国家税务总局玉林高新技术产业开发区税务局一楼);
3.玉林市玉东新区政务服务中心公示栏;
4.玉林市玉东新区政府网。
三、公众参与
为体现规划审批的公开性和透明性,我部对本次调整方案给予公示。如您对本次申请调整报批的方案有不同意见和异议,请于2026年3月20日前将意见以书面形式(署以真实姓名、联系方式等,并说明理由和原因)递交我部,利害关系人可依法书面向我部申请听证。意见反馈地址:玉林市胜利东路广西玉林高新技术产业开发区管理委员会规划建设和应急管理部(国家税务总局玉林高新技术产业开发区税务局)5楼城乡规划股,电子信箱:YLYDGJJ@163.com,联系电话:0775-3837037。
四、附图
1.原审批的万昌·东方河畔总平规划图

2.现拟调整万昌·东方河畔总平规划图

3.万昌·东方河畔地下室(地块一)一期一组团地下一层设计方案修改前后图


4.万昌·东方河畔地下室(地块一)二期一组团地下一层设计方案修改前后图


广西玉林高新技术产业开发区管理委员会
规划建设和应急管理部
2026年3月12日
文件下载:
关联文件: