我要收藏
公共资源调用站点
文章分享
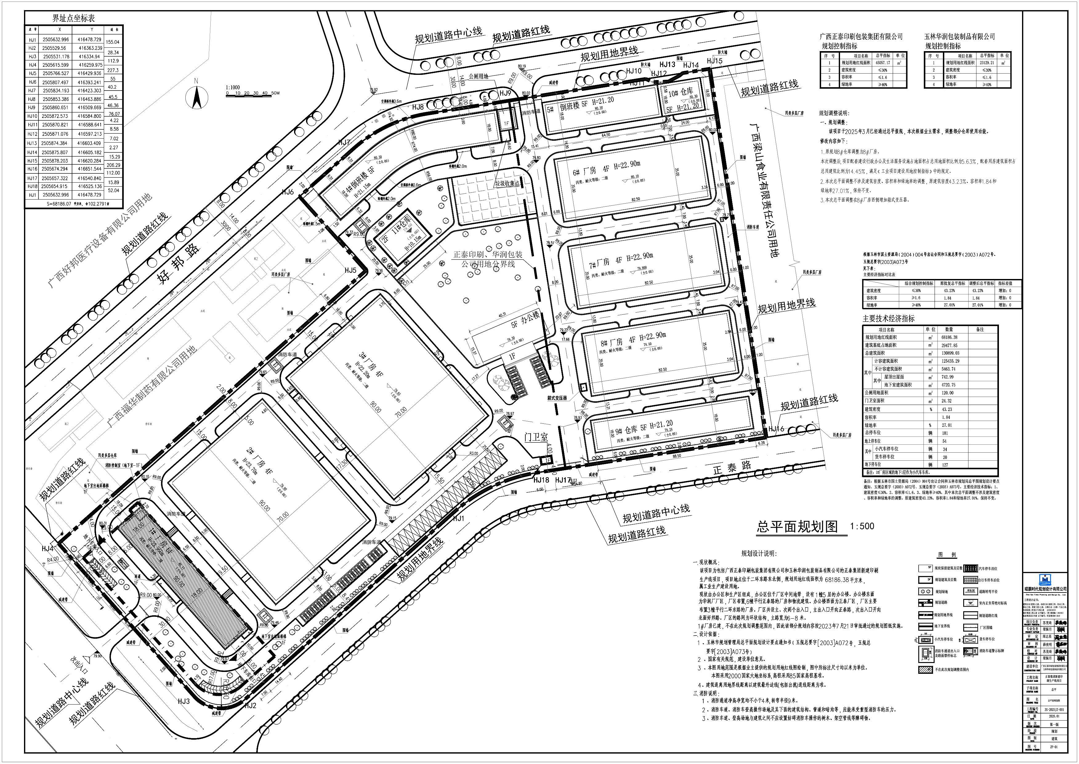
根据广西正泰印刷包装集团有限公司和玉林华润包装制品有限公司的申请,现对其位于玉林经济开发区正泰路1号的正泰集团新建印刷生产线项目总平规划调整方案进行公示,内容如下:
一、总平规划方案调整主要内容(详见附图)
(一)原规划8#仓库调整为8#厂房。
(二)在8#厂房西侧增加箱式变压器。
调整后,建筑密度、容积率和绿地率均不变。拟调整规划方案与原已批准规划方案详见附图,其他规划内容可到我局公示栏查看。
二、公示时间及公示地点
公示时间:2026年2月4日至2026年2月12日
公示地点:正泰集团新建印刷生产线项目现场、规划建设和应急管理部公示栏(玉林高新技术产业开发区税务局办公楼1楼)、玉林市玉东新区政务服务中心公示栏及玉林市玉东新区政府网。
三、公众参与
为体现规划审批的公开性和透明性,我部对本次规划方案给予公示。如您对本次规划申请报批的方案有不同意见和异议,请于2026年2月12日前将意见以书面形式(署以真实姓名、联系方式等,并说明理由和原因)递交我部,利害关系人可依法书面向我部申请听证。意见反馈地址:玉林高新技术产业开发区税务局办公楼规划建设和应急管理部5楼规划股,电子信箱:YLYDGJJ@163.com,联系电话:0775-3837037。
四、附图
1.原经审批的正泰集团新建印刷生产线项目总平面规划图(设计单位:玉林市建筑设计院有限公司,设计号:YL-202111,日期:2025.01)

2.现拟调整的正泰集团新建印刷生产线项目总平面规划图(设计单位:昭腘时代规划设计有限公司,工程编号:ZG-2025JG-001,日期:2026.01)

3.总平规划调整前后对比图

备注:因机构改革,原玉林市玉东新区建设局已更名为广西玉林高新技术产业开发区管理委员会规划建设和应急管理部。
广西玉林高新技术产业开发区管理委员会
规划建设和应急管理部
2026年2月4日
文件下载:
关联文件: